Active
7338-7344 E Duck Lake Rd
7338 E Duck Lake Rd, Lake Leelanau, MI 49653
1 / 16

Overview
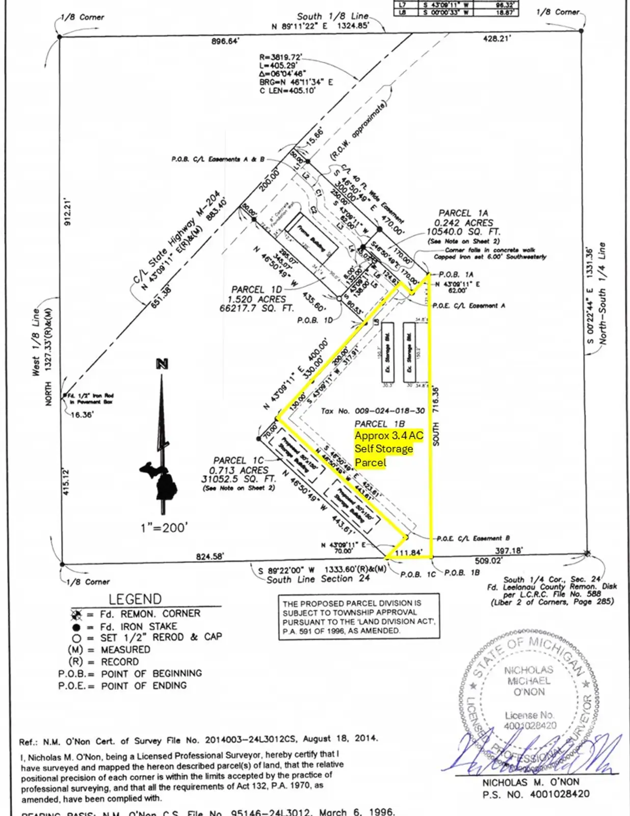
90 unit self-storage property with three buildings built from 2020-2025. Available at a 8.2% cap rate with room to further increase rent. Seller has approval to build an additional 30 unit building. Central Leelanau County location on the east side of the Village of Lake Leelanau with signage on M-204. Moveable middle partition walls allow flexibility on unit sizes.
For Sale
Industrial
Secondary Uses: Self Storage
- Sale Price
- $1,295,000
- Price Per SF
- $95.9/SF
- Building Size
- 13,500 SF
- Acres
- 3.4 ac
- Zoning
- Commercial
- Number of Buildings
- 3
- Floors
- 1
- Year Built
- 2022
- Construction Type
- Framed
- Tax ID Number
- split of 009-024-018-32
- Property Use Type
- Investment
- Property Status
- Existing
- County
- Leelanau
- Created
- 06/04/2025
- Updated
- 12/05/2025
- Listing ID
- f3bcd2d9
- Parcel APN
- 009-024-018-32
Contact Broker
Property Area Insights
presented by Placer.ai














