Active
Guarantee Title
11635 S Saginaw St, Grand Blanc, MI 48439
1 / 2

Overview
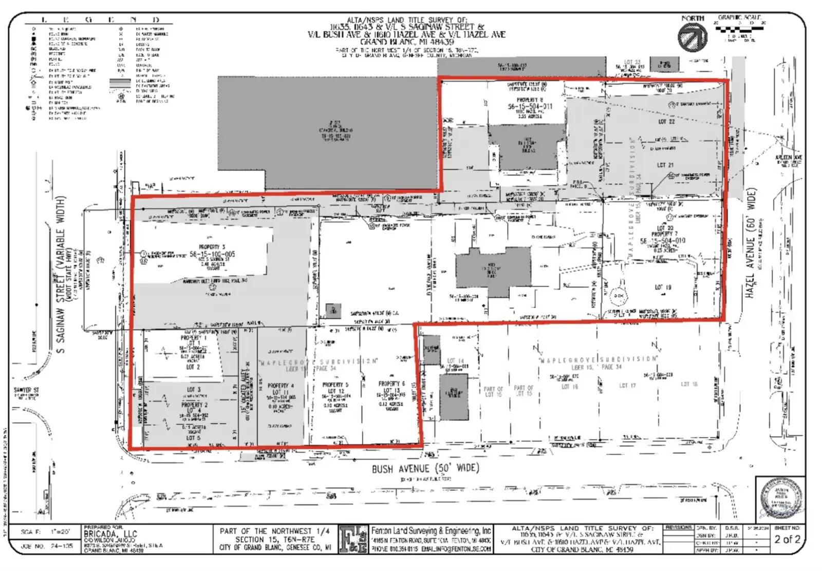
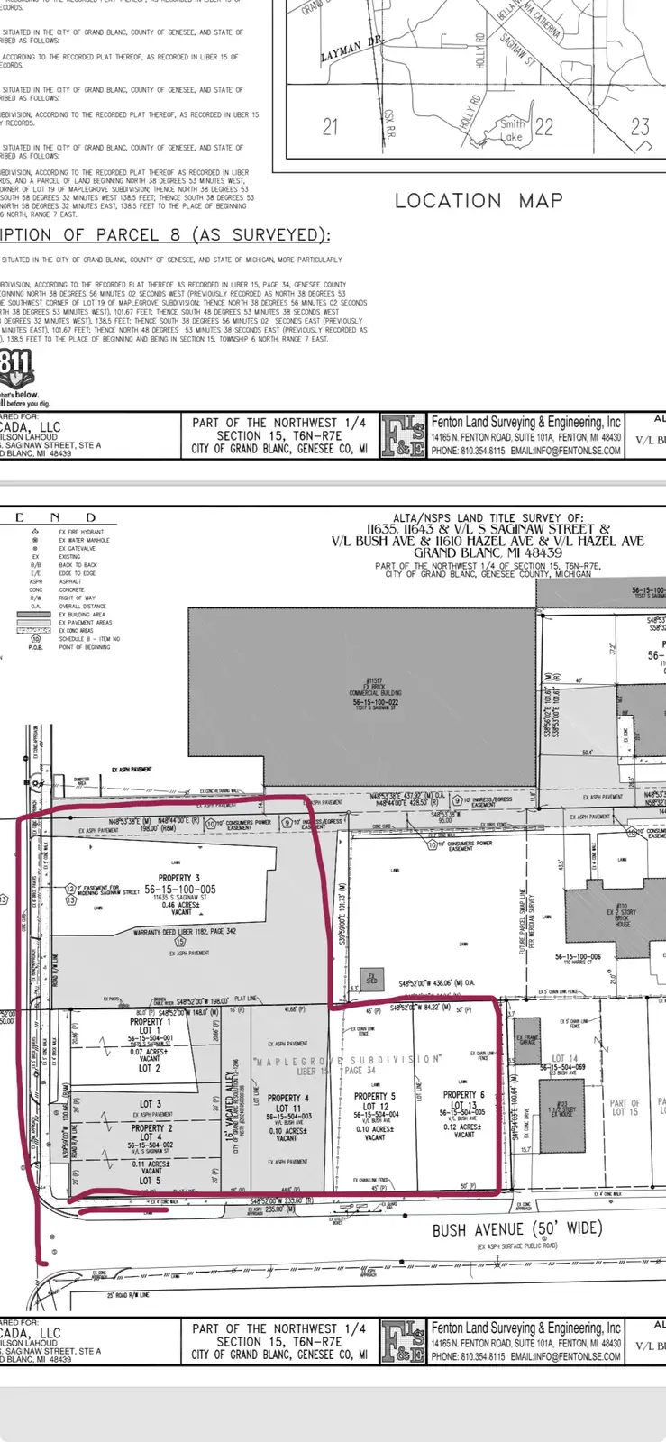
A total of 9 parcels.
Exceptional location in the heart of down town Grand Blanc. 201 ft frontage on S Saginaw st and the intersection of Bush Ave. Zoned commercial and possibilities are endless. A little over an acre that consists of 9 parcels when combined. Drive thru is allowed on the site. Great site for development into a stand alone commercial building or a plaza with a drive thru end cap. Very close to the intersection of S Saginaw Street & Grand Blanc Rd
For Sale
Land
- Sale Price
- $2,200,000
- Price Per Acre
- $956.5K/ac
- Acres
- 2.3 ac
- Zoning
- B-1
- Lot Size
- 102' x 158'
- County
- Genesee
- Available
- 08/27/2024
- Listed
- 08/27/2024
- Updated
- 06/19/2025
- Listing ID
- 8d6a25eb
- Parcel APN
- 56-15-100-005
